前沿拓展:美国各年代女性服装
用今天的眼光看,80年代的的女性着装真的和其他年代比有些过气。她们都烫着很厚的钢丝发,带着很大的耳圈。在衣着色彩上很大胆,但不懂得配色。流行高垫肩的衣服。我看过所有007的电影,只有蒂莫西道尔顿的两版版女郎不性感,也不是她们不性感,只是那时候在80年代,真金可帝商的缺少一种柔美之气。当然这是我的观点
法老阿玛西斯二世的头像,由红色石英岩制成。阿玛西斯二世是波斯征服前埃及后一位伟大的统治者。古希腊历史学家希罗多德说,在他正确的管理下,埃及的财富达到了一个新的水平。

这是骷髅坦克的照片,它是一战期间美国开发的原型坦克。比英国和法国的坦克更轻,同时保持穿越战壕的能力。设计师认为这样的设计,可以让大多数弹片和冲击波穿过结构中的缝隙。

Eucalyptus deglupta,俗称彩虹桉树,是在新不列颠、新几内亚、塞兰、苏拉威西和棉兰老岛发现的桉树物种。随着外层树皮每年脱落,内部较绿的树皮显露出来,然后成熟并变成紫色、橙色和栗色。

三星堆遗址二号祭祀坑出土的大型青铜立像(含底座高2.62m)。这个人物初手里拿着什么东西(可能是象牙,现场发现了一堆象牙)。公元前 1700-1150 年,中国三星堆博物馆。

建于 13 世纪的纳雅克城堡,位于一座小山上,俯瞰着法国南部小村庄纳雅克。

威廉·罗奇在英国电视肥皂剧《加冕街》中扮演同一角色 62 年,主演超过 4200 集。

罗马马赛克显示狮子击倒豹,收藏在那不勒斯考古博物馆,它来自庞贝古城的鸽子屋,位于考古遗址的西南部。

伊丽莎白女王于 1945 年更换车轮。在战时,当时还是公主的她,加入了辅助领土服务队,在那里她学习了如何更换车轮、重建和修理发动机等技术。

2022 年 11 月 27 日,在泰国华富里府的猴子盛宴上,猴子们正在享用水果。这个节日是华富里府一年一度的传统活动,旨在表达对猴子带来旅游业的感激之情。

泰坦尼克号沉没前的内部楼梯照片与 100 多年后从同一角度拍摄的楼梯照片对比。

阿比舍姆方尖碑是献给腓尼基国王阿比舍姆一世的,上面刻有两行埃及象形文字铭文。它是世界上第三古老的方尖碑,也是迄今为止在埃及以外发现的古老的方尖碑。

一张协和式飞机以 2 马赫(2172 公里/小时)飞行的照片,是从英国皇家空军的龙卷风上拍摄的。

进攻荷兰蒂尔堡期间,第 6 近卫坦克旅的丘吉尔坦克和第 10 高地轻步兵团第 15(苏格兰)师的部队。1944 年 10 月 28 日。

1945年,澳大利亚皇家空军第 43 中队的联合 PBY Catalina“黑猫”。

罗纳尔多支付了 2004 年东南亚毁灭性海啸中一名 7 岁幸存者的教育费用。灾难发生 21 天后,这名男孩被发现身穿葡萄牙队球衣。他长大后成为了一名足球运动员,并终被里斯本竞技队签下。

在泰坦尼克号残骸周围发现的手镯。被认为属于二等舱乘客 Amy Frances Jacobsohn 夫人的,她丢失了一个装着珠宝的行李箱。

位于法国阿尔勒的罗马圆形剧场。这座建筑建于公元 1 世纪。阿尔卢在罗马时期是一座相当重要的城市。

乌克兰敖德萨的一座列宁纪念碑变成了达斯·维德的雕像。

已知早的挪威特罗姆瑟街头生活照片之一。该图展示了特罗姆瑟的主广场,由克努德·克努森于 1875 年拍摄。后期上色。

美国第一艘航空母舰。由煤炭货船改装而成,后期还继续拉煤炭。兰利号航空母舰。1928年。

爱因斯坦写下他的方程式 e=mc^2 的已知照片,拍摄于 1934 年。

杰拉什位于约旦北部,是该国 10 座罗马城市之一,也是世界上一个与庞贝古城一起保持完好几个世纪的城市。今天它也是世界上保存完好的罗马城市之一,证明了帝国在中东的范围和霸权。

从英国利物浦飞往瑞典斯德哥尔摩的航班上,看到了北极光!

1888 年 12 月 22 日,挪威奥斯陆附近的 Strømmen 车站,发生锅炉爆炸后的余波,把一辆机车抛向空中,落在另一辆的车顶上。

这些是使用喷气发动机清除冰雪的俄罗斯冬季服务车辆的照片。两辆卡车分别使用米格15和VK-1飞机发动机。

出租车司机和他的出租车,挪威,1917 年。

英国。1941 年,一名英国金马伦高地军士兵在接受刺刀训练。

日本纸雕家 Harukiru 用废弃的零食包装制作雕塑。

拉斯维加斯的豪华地下世界末日掩体:1978 年由雅芳化妆品执行官吉拉德亨德森在地下近 8 米处建造。

光学错觉。此图像中没有黄色。

缅甸战役。1944 年 12 月,第 36 步兵师皇家威尔士燧发枪团的部队在 Pinbaw 附近的丛林小路上前进。

2020 年 8 月 4 日,黎巴嫩贝鲁特发生硝酸铵爆炸后,美国地质调查局将其检测为 3.3 级地震事件,被认为是黎巴嫩强大的非核爆炸之一。

“貂丁”大家都听说过吧,真正的貂丁的确是存在的。丁字裤的出现是在欧洲,生活在欧洲的荷兰女人在夏天就穿着这种丁字裤,这种丁字裤由短而光滑的海狗皮制成的。

乔·奥康纳于 1965 年测试宇航服原型。

第一次世界大战期间奥匈帝国大的医院。

印度模特Raai Laxmi证明了:腿粗没关系,比例重要。

伦敦号巡洋舰上的防空炮座及其船员。1941年

装饰艺术风格的 WJR 无线电发射机大楼,美国密歇根州底特律,1934 年。

100年前德国、乌克兰、英国妓院以蜡烛计时,一支燃烧7分钟。

肯德基 (KFC) 在伦敦开设了第一家酒吧,可以在这里直接订购品脱和食物到餐桌。

印度奥里萨邦的萨普亚湖。

原本自1974 年以来,被传家定义为已经灭绝的安纳托利亚豹,在 2021 年开始再次出现。

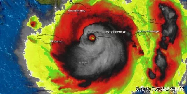
2016 年 10 月登陆海地的 4 级飓风马修的红外雷达图像。

拓展知识:美国各年代女性服装